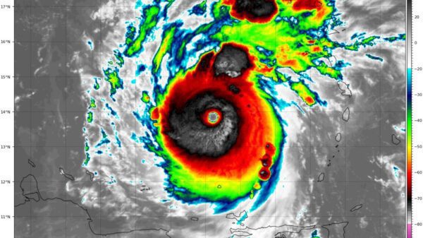
Huracán Beryl alcanza categoría 5 y amenaza al Caribe: Conred mantiene monitoreo
El NHC advirtió que Beryl podría traer vientos mortales y marejadas ciclónicas a Jamaica a finales de esta semana.
Copy and paste this URL into your WordPress site to embed
Copy and paste this code into your site to embed